相模原市緑区相原5丁目で新しい現場が始まりました!③色々と決まってきました!

こんにちは。畠山です。

先日、住宅ローンの支払予定表が金融機関から送られてきました。

私は変動金利を選択しており、今から8年ほど前に借り換えをしたのですが、

当初より金利が0.15%ほど上がり。1%を少し下回る位になりました。

月々に換算すると3,000円ちょっと上がっています。

住宅ローン金利はこれから上がると言われていますが、

変動金利で安いところだと0.3%代というのがありますから、

まだまだ変動金利が選択されるかな??と思ったりもしています。

人手不足や資材高騰により建築費が上昇しており、

いつが建て時か・・・という話は絶えず聞きますが、

私自身は待っていても上がるばかりではないかなーと感じています。

また、建築費の上昇は家の中身(性能)が良くなってきていることも、

建築費上昇の一つかもしれませんね。

夏暑く冬寒いような健康を害する住宅は2025年4月から法改正もあり、

無くなってくるのではないでしょうか。

ちなみに、弊社は2025年4月の法改正には対応済みなので、

特段、今から準備することはなく、今までやってきた家造りを今後もやっていきたいと思いますので、どうぞよろしくお願いいたします!

さて、今年のブログも残すところ、あと2回となりました。

色々と紹介したいことはあるのですが、

今日は「建築条件付き」で販売する「相模原市緑区相原5丁目」のお話をしたいと思います。

おそらく、こちらの現場はこれが今年最後のご紹介となりますので、

ご興味のある方は是非、お読み頂くよう、よろしくお願いいたします!

さて、この現場ですが、先月土地のお引渡しが終わりました。

場所はこちらです。

北側に立って南側を撮影するとこんな感じで、

南側から北側を撮影するとこんな感じです。

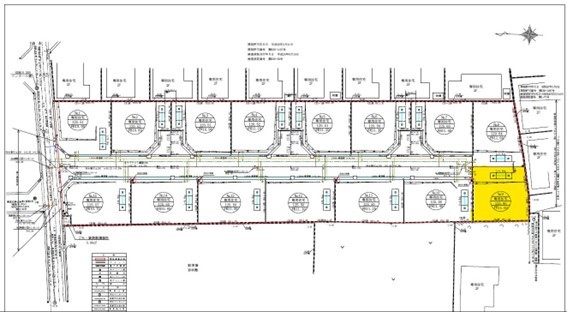
テキストをここに入力 15区画あるのでとても大きいですね。 

現場では現在、ショベルカーが入り作業をしています。

現場は平らなので、比較的工事は進みやすいかなと思っています。

工事の進捗はまたブログでお伝えしたいと思いますので、

よろしくお願いいたします。

さて、9月頃のブログでふれましたが、9区画にモデル兼分譲として、

高性能の住宅を建築する予定です。

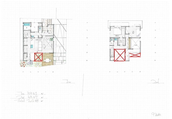
現在、下記のプランの修正待ちですが、

1階のダイニングが狭いため小上がりの畳コーナー中止、

3LDKと表記したいので2階のフリールームを部屋へ、

室外機置場を考えてバルコニーを大きくする予定です。

その他にも修正点がありますが、大きいところが上記となります。

また、吹き抜けにエアコンを設置して、各部屋に冷暖房を送り込む、

「Kシステム」を採用する予定です。

このシステムはお客様が考案しているため、

「Kシステム」としており、

「とても快適!」とのお声を頂いたのと、

安価で出来るので採用をしてみようと思います!

また、これから始まる下記の「全世帯型の160万円の補助金」にも対応が出来る予定です。

ちなみにこの現場は「建築条件付き」で販売をするのですが、

分譲住宅という事もあり、

建物の費用は分かりやすく、この仕様であれば「全て込で〇円」として販売をしようと思います。

現在の建物の方向性として考えているのが、

  • ①UA値=0.45前後の断熱性能で太陽光パネル付き(枚数制限あり)、長期優良住宅認定のハイスペック仕様の2,900万円パック
  • ②①とおなじ断熱性能でよりお求めやすいベーシックな仕様の2,600万円のパック

どちらも床面積は30坪まで、

室内壁と天井は安心のグラスウールを使い、

高気密でC値0.6以下、

耐震等級3を取得する予定です。

設計費、外構工事費(基本プラン有)、

東京都にはありませんが水道局へ支払う「局納金」の代金までは上記の価格に込となっていますが、

「地盤改良工事費」は別途としています。

商品のプレゼン資料は出来次第公開したいと思いますので、

ご興味がある方は是非、お問合せ下さい!

また、土地の価格は、こちらになっております。


「建築条件付」の土地にはなりますが、土地の価格がようやくきまりましたので、

みなさまからのお問い合わせをお待ちしております!


さて、今日は「相模原市緑区相原5丁目分譲」のお話をさせて頂きました。

来週のブログは12/21(土)に上棟予定の「町田市上小山田町6号棟」のお話をして、

今年最後のブログを終えたいと思っています。

天気も良く無事上棟出来るのか、楽しみです。

それでは、今日はここまでにしたいと思います。

本日もお読み頂きありがとうございました!

 

コメント

コメントはまだありません。コメントを投稿する最初の1人になって下さい
登録済みですか? ここからログイン
ゲスト
2026年04月13日(月)

By accepting you will be accessing a service provided by a third-party external to http://kir634700.kir.jp/ideal/

Instagram

facebook

X(twitter)

八王子市で30坪台の平屋・二世帯住宅の注文住宅を建てる工務店はアイディール

モデルハウスの予約はこちら
間取りプラン集ダウンロード